Mentha suaveolens Ehrhart 1792
Menthe à feuilles rondes


- class. : Plantae, Magnoliophyta, Magnoliopsida, Lamiales, Lamiaceae
- class. APG III : Plantae, Angiospermae, Eudicotidae, Rosinae, Asteridae, Lamiales, Lamiaceae

- syn. : baume sauvage, menthastre, menthe de cheval, menthe simple, menthe odorante
- syn. scientifique : Mentha rotundifolia, Mentha rugosa
- dénominations européennes : apple mint, round-leaved mint (GB), Rundblättrige Minze (D), menta (E), menta a foglie rotonde (I), mentastro (P)
- code Bayer : MEMSU

Mentha suaveolens subsp. insularis (Req.) Greuter 1972 (anc. Mentha insularis, menthe de Corse), dont les feuilles sont minces et aigües, est placée depuis novembre 2011 sur la liste rouge mondiale des espèces en voie de disparition.


Description de la plante


- Description de la plantule :
Cotylédons en forme de spatule ;
Feuilles simples, profondément échancrées.

- Description de la plante adulte :
Hauteur : 30 à 50 cm ;
Tiges quadrangulaires dressées très ramifiées, poils peu denses, rejets aériens et souterrains ;
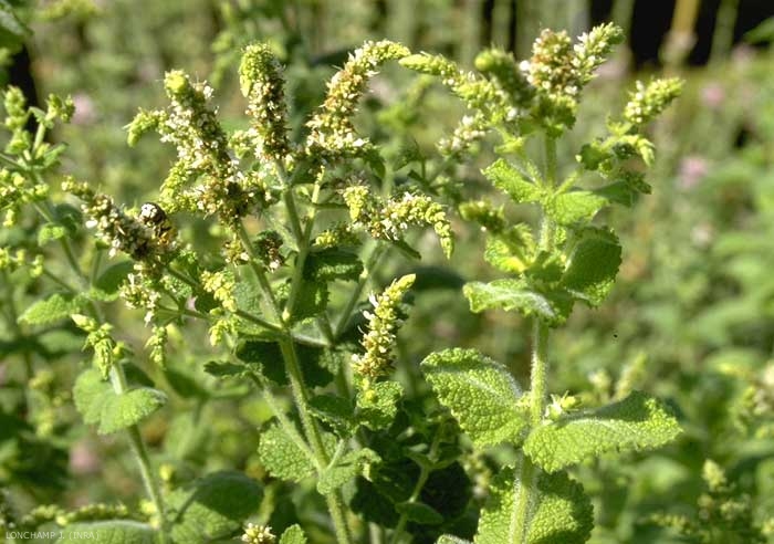
Feuilles opposées, vraies à nervation réticulée fortement saillante sur la face inférieure, sans pétiole, arrondies, 30 à 45 x 20 à 40 mm, bord scié, face supérieure ridée, face inférieure tomenteuse, parfois glabres ;
Fleurs blanc laineux, disposées en épi cylindrique. Bractées ovales en pointe égalant ou dépassant la fleur. Calice court, velu, en cloche, à 5 dents triangulaires. Corolle à 4 divisions ;
Fruits : akènes en 4 parties lisses à la surface et ovoïdes.

- Remarques :
Plante stomachique et antispasmodique.


 Biologie de la plante


Plante des zones humides et ombragées, cette espèce peut toutefois se rencontrer dans les zones ensoleillées et sèches en été en sols argileux. Une variété horticole à feuilles panachées est cultivée. C'est une plante intéressante pour la biodiversité car elle est mellifère.
Cette espèce de la zone subatlantique est rare dans les cultures en France mais est en extension. On la rencontre en vergers tempérés et vergers irrigués.

Type biologique :
Plante vivace à rhizomes, se propageant essentiellement par voie végétative ; les germinations sont exceptionnelles.

- Période de floraison :
juillet - septembre

Dernière modification : 23/12/2025
  • Auteurs :
  • J Gasquez (INRA)
  • J Lonchamp (INRA)
Mentha-suaveolens5
Figure 1
Mentha-suaveolens2
Figure 2
Mentha-suaveolens3
Figure 3
Mentha-suaveolens4
Figure 4