Botryosporium sp (p) .

Moho blanco oportunista

  

General  

  • El Botryosporium spp. son hongos ubicuos, esencialmente saprofitos, reportados en un gran número de plantas y en diversos nichos ecológicos.
  • Patógenos en tabaco, albahaca, estátice (que causan lesiones en los tallos en particular), tomates con un comportamiento parasitario comparable al de Botrytis cinerea, ramitas de guindilla, remolacha y hojas de pelargonium. También se desarrolla como invasor secundario después de Botrytis cinerea .
  • Al menos dos especies ( B. pulchrum y B. longibrachiatum ) parecen prevalecer en estas plantas.
  • Muy ocasionalmente nocivo para las berenjenas bajo abrigo, principalmente al final del cultivo, y en plantas más o menos senescentes.
  • Órganos atacados  : hojas, tallos, flores, raramente frutos.
  • Síntomas :
    • Síntomas presentes en todos los órganos aéreos.
    • Manchas foliares grandes, más bien circulares y húmedas , que un  adquieren tinte de beige a marrón. Estos se inician especialmente en el borde del limbo o por diversas lesiones. Eventualmente, los folletos pueden destruirse por completo.
    • Los tejidos afectados se necrosan y secan rápidamente áreas importantes del limbo.
    • Lesiones cáusticas, húmedas, de color beige a marrón, que se secan a medida que se desarrollan y ciñen los tallos unos centímetros.
    • Rama marchita.
    • Pardeamiento de los pétalos senescentes permitiendo la invasión de las flores.
    • Colonización de la zona del pedúnculo del fruto provocando en ocasiones el inicio de la pudrición.
  • >>> Más fotos  
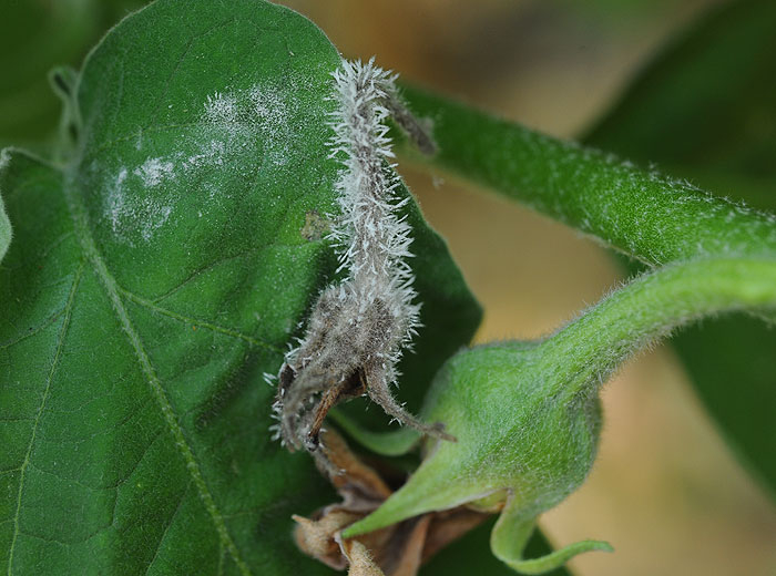
  • Signos : denso moho blanco formado por multitud de largos conidióforos aéreos, que evoca "heladas".
  • Posible confusión : ataque de Botrytis cinerea .

Biología  

  • Almacenamiento : se puede almacenar en muchos medios (semillas, en el suelo, en restos de plantas y materia orgánica, turba, etc.). Capaz de colonizar tejidos degradados y senescentes de muchas plantas, cortezas, etc. Contaminaciones primarias a menudo aéreas, aportadas por conidios transportados por el viento, germinan en pocas horas en presencia de alta humedad ambiental.
  • Infección : ingresa a los tejidos a través del tubo germinativo de los conidios especialmente desde diversas heridas o tejidos necróticos y / o muertos como pétalos, sépalos necróticos, foliolos viejos. Sucede que colonizan tejidos ya dañados por otros patógenos o por plagas. Se propagan rápidamente a los tejidos, que ayudan a descomponer en unos pocos días.
  • Esporulación : produce un moho blanco en todos sus hospedadores, al igual que en los restos vegetales, está formado por micelio y numerosos conidióforos de ramificación larga que producen numerosos conidios que aseguran la diseminación de Botryosprium spp.
  • Difusión : el viento y las corrientes de aire dispersan los conidios, en menor medida la lluvia y las salpicaduras de agua. También lo llevan a cabo los trabajadores durante las operaciones de cultivo. El micelio puede ser fuente de contaminación por contacto de tejidos ya colonizados con tejidos sanos.
  • Condiciones favorables para su desarrollo : particularmente aficionado a los ambientes húmedos en invernaderos y refugios, y temperaturas medias en torno a los 20 ° C. Las plantas etioladas y / o senescentes son particularmente vulnerables. En condiciones favorables, la duración de un ciclo parece bastante corta, del orden de unos pocos días.  

Proteccion

  • Este problema de salud bastante raro normalmente no requiere medidas especiales. Se pueden seguir algunos consejos la próxima vez que cultive bajo techo.
  • Desinfecte las estructuras y paredes de los refugios antes del establecimiento del cultivo para destruir las esporas presentes.
  • Ventilar lo más posible los refugios para reducir la humedad ambiental y, en particular, evitar la presencia de agua libre en las plantas al final del cultivo.
  • Recuerde que los sustratos orgánicos permiten obtener plantas más vegetativas y probablemente más sensibles al moho blanco al final del cultivo.
  • Evite cualquier estrés a las plantas, se debe controlar la fertilización con nitrógeno. No será ni demasiado fuerte (en el origen de tejidos suculentos muy receptivos) ni demasiado débil (fuentes de hojas cloróticas que constituyen bases nutritivas ideales para Botryosporium sp.).
  • No podar durante los períodos nublados y húmedos.
  • Sobre todo, eliminar muy rápidamente los restos vegetales durante el cultivo en los que Botryosporium sp. esporula profusamente.
  • Tenga cuidado al final de la cosecha, tan pronto como la vegetación se debilite, especialmente en tiempo nublado.
  • Controlar otras enfermedades y plagas porque son causantes de heridas, necrosis tisular propicia para la instalación de Botryosporium sp.
Última modificación:10/19/21
Botryosporium5
Figura 1
Botryosporium17
Figura 2
Botryosporium18
Figura 3
Botryosporium11
Figura 4
Botryosporium10
Figura 5
Botryosporium16
Figura 6
Botryosporium1
Figura 7
Botryosporium19
Figura 8
Botryosporium13
Figura 9
Botryosporium4
Figura 10
Botryosporium20
Figura 11