Diagnostic Terminé


Botrytis cinerea

Sur une de ces deux taches, couleur beige à brunâtre, on distingue bien des motifs concentriques noirâtres plutôt bien marqués. <i><b>Botrytis cinerea</b></i> (moisissure grise, grey mold)
Une tache nécrotique, beigeâtre, est bien visible sur cette feuille d'aubergine. <i><b>Botrytis cinerea</b></i> (moisissure grise, grey mold)
En plus de motifs concentriques bien apparents, la moisissure grise (grey mold) caractéristique de <i><b>Botrytis cinerea</b></i> commence a couvrir certaines portions de tissus altérés.
Deux taches nécrotiques, irrégulières et bien délimitées, sont en train d'envahir l'intérieur du limbe de cette feuille. <i><b>Botrytis cinerea</b></i> (moisissure grise, grey mold)
L'humidité a permis au mycélium de <i><b>Botrytis cinerea</b></i> de pénétrer localement le limbe de cette feuille, et une lésion nécrotique s'y est développée. En plus de motifs concentriques brun foncé, elle est recouverte en bordure du limbe d'une moisissure grise assez diffuse (moisissure grise, grey mold)
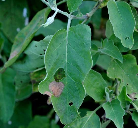
Une lésion brun rougeâtre envahie progressivement cette feuille à partir d'une base nutritive bien visible à proximité d'une nervure. Elle est bien délimitée et un peu plus sombre en périphérie. Notons que le limbe environnant est plus ou moins chlorotique. <i><b>Botrytis cinerea</b></i> (moisissure grise, grey mold)
<i><b>Botrytis cinerea</b></i> s'est installé dans la tige à partir d'une blessure ou d'une feuille entièrement dégradée. Il s'y développe  progressivement, occasionnant un chancre qui la ceinture sur plusieurs centimètres (moisissure grise, grey mold)
Comme sur tous les organes affectés, <i><b>Botrytis cinerea</b></i> forme une moisissure grise à beige sur ce chancre sur tige qui caractérise sa présence. (moisissure grise, grey mold)
<i><b>Botrytis cinerea</b></i> a  colonisé les sépales de cette fleur d'aubergine sénescente, il ne va pas tardé à envahir le pédoncule et peut être gagner la tige. (moisissure grise, grey mold)
Les fleurs, les pétales sénescents notamment, sont particulièrement sensibles à <i><b>Botrytis cinerea</b></i>. Ce dernier ne tarde pas à les coloniser en période humide, provoquant une pourriture brunâtre recouverte de la caractéristique <b>moisissure grise</b> (grey mold)
Une large pourriture brun rougeâtre et molle s'est développée tout autour de la cicatrice pédonculaire de ce fruit mûr. Les sépales sénescents ont servi de base nutritive au champignon. <i><b>Botrytis cinerea</b></i> (moisissure grise, grey mold)
Une moisissure grise recouvre partiellement en son centre cette large pourriture molle sur ce fruit. <i><b>Botrytis cinerea</b></i> (moisissure grise, grey mold)
Pourriture molle, marron orangée, très rapidement recouverte d'une moisissure grise. <i><b>Botrytis cinerea</b></i> (moisissure grise, grey mold)
Un fruit déjà contaminé par <i><b>Botrytis cinerea</b></i> a permis à ce dernier de coloniser par contact le fruit voisin (moisissure grise, grey mold)
Au terme de son évolution sur un fruit, <i><b>Botrytis cinerea</b></i> le recouvre presque totalement sous la forme d'une dense moisissure grisâtre. (moisissure grise, grey mold)
Une pourriture brunâtre et chancreuse s'est développée sur ce fruit abîmé et déjà blessé. <i><b>Botrytis cinerea</b></i> (moisissure grise, grey mold)
Une moisissure grisâtre se développe au niveau de la zone pourrie de ce fruit. Les  conidies de <i><b>Botrytis cinerea</b></i> sont bien visibles. Moisissure grise (grey mold)
Ce fruit est complètement envahi par une pourriture humide et molle qui s'est vraisemblablement amorcée au niveau de sa cicatrice pédonculaire. Noter la présence d'une moisissure grise au niveau où la pellicule s'est rompue longitudinalement. <i><b>Botrytis cinerea</b></i> (moisissure grise, grey mold)
Plusieurs conidiophores arborescents de <b><i>Botrytis cinerea </i></b> portent de nombreuses conidies hyalines aisément disséminées par le vent.
Les conidies de <i><b>Botrytis cinerea </b></i> sont formées à l'extrémité de stérigmates. (pourriture grise, grey mold)