Diagnóstico Hecho


Botrytis cinerea

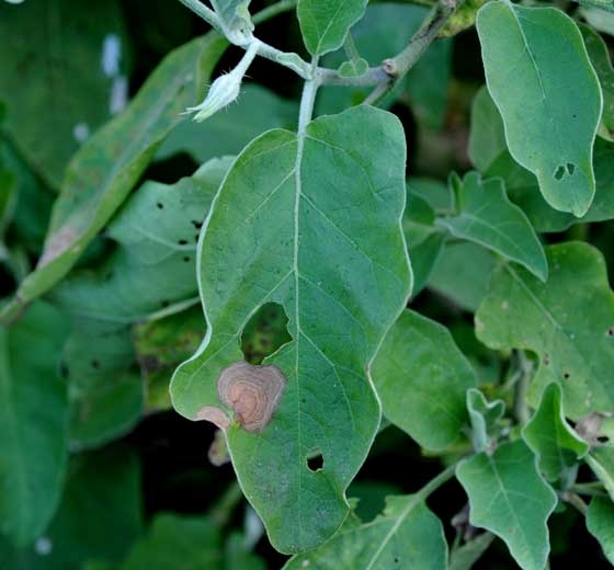
En una de estas dos manchas, de color beige a parduzco, podemos ver claramente patrones concéntricos negruzcos bastante bien marcados.  <i> <b> Botrytis cinerea </b> </i>
Una mancha beige necrótica es claramente visible en esta hoja de berenjena.  <i> <b> Botrytis cinerea </b> </i>
Además de los llamativos patrones concéntricos, el característico moho gris de <i> <b> Botrytis cinerea </b> </i> está comenzando a cubrir porciones de tejido degradado.
Dos manchas necróticas, irregulares y bien delimitadas, están invadiendo el interior del limbo de esta hoja.  <i> <b> Botrytis cinerea </b> </i>
La humedad permitió que el micelio de <i> <b> Botrytis cinerea </b> </i> penetrara localmente en el limbo de la hoja y allí se desarrolló una lesión necrótica.  Además de los patrones concéntricos de color marrón oscuro, está cubierto en el borde de la hoja con un moho gris bastante difuso.
Una lesión de color marrón rojizo invade gradualmente esta hoja desde una base de nutrientes claramente visible cerca de una vena.  Está bien definido y un poco más oscuro en las afueras.  Tenga en cuenta que el limbo circundante es más o menos clorótico.  <i> <b> Botrytis cinerea </b> </i>
<i> <b> Botrytis cinerea </b> </i> se ha establecido en el tallo a partir de una herida o una hoja completamente degradada.  Se desarrolla gradualmente, provocando un chancro que lo rodea varios centímetros (moho gris)
Como en todos los órganos afectados, <i> <b> Botrytis cinerea </b> </i> forma un moho gris a beige en este chancro del tallo que caracteriza su presencia.
<i> <b> Botrytis cinerea </b> </i> ha colonizado los sépalos de esta flor senescente de berenjena, no tardará en invadir el pedúnculo y posiblemente llegar al tallo.
Las flores, especialmente los pétalos senescentes, son particularmente susceptibles a <i> <b> Botrytis cinerea </b> </i>.  Este último no tarda en colonizarlos en periodos húmedos, provocando una podredumbre pardusca cubierta con el característico <b> moho gris </b>.
Alrededor de la cicatriz del tallo de esta fruta madura se ha desarrollado una podredumbre grande, suave y de color marrón rojizo.  Los sépalos senescentes sirvieron como base nutritiva para el hongo.  <i> <b> Botrytis cinerea </b> </i>
Un moho gris cubre parcialmente en su centro esta gran podredumbre blanda de esta fruta.  <i> <b> Botrytis cinerea </b> </i>
Podredumbre blanda, marrón anaranjado, muy rápidamente cubierta por un moho gris.  <i> <b> Botrytis cinerea </b> </i>
Una fruta ya contaminada por <i> <b> Botrytis cinerea </b> </i> permitió que esta última colonizara por contacto con la fruta vecina.
Al final de su desarrollo en un fruto, <i> <b> Botrytis cinerea </b> </i> lo cubre casi por completo en forma de un denso moho grisáceo.
Se ha desarrollado una podredumbre amarronada en esta fruta dañada y ya lesionada.  <i> <b> Botrytis cinerea </b> </i>
Un moho grisáceo crece en el área podrida de esta fruta.  Los conidios de <i> <b> Botrytis cinerea </b> </i> son claramente visibles.
Esta fruta está completamente invadida por una podredumbre húmeda y blanda que probablemente comenzó al nivel de la cicatriz del tallo.  Nótese la presencia de moho gris en el nivel donde la película se rompió longitudinalmente.  <i> <b> Botrytis cinerea </b> </i>
Varios conidióforos arbóreos de <b> <i> Botrytis cinerea </i> </b> portan numerosos conidios hialinos que el viento dispersa fácilmente.
Los conidios de <i> <b> Botrytis cinerea </b> </i> se forman al final de los esterigmas.