Final diagnosis


Botrytis cinerea

On one of these two spots, beige to brownish in color, rather prominent blackish concentric patterns are clearly visible. <i><b>Botrytis cinerea</b></i> (grey mold)
A necrotic, beige stain is clearly visible on this eggplant leaf.  <i> <b> Botrytis cinerea </b> </i> (gray mold)
In addition to conspicuous concentric patterns, the characteristic gray mold of <i> <b> Botrytis cinerea </b> </i> begins to cover some portions of weathered tissue.
Two necrotic spots, irregular and well demarcated, are invading the interior of the blade of this leaf.  <i> <b> Botrytis cinerea </b> </i>  (gray mold)
The moisture allowed the mycelium of <i> <b> Botrytis cinerea </b> </i> to locally penetrate the leaf blade, and a necrotic lesion developed there.  In addition to dark brown concentric patterns, it is covered at the edge of the blade with a fairly diffuse gray mold (gray mold)
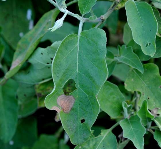
A reddish-brown lesion progressively invades this leaf from a clearly visible nutrient base near a vein. It is well defined and a little darker at the periphery. Note that the surrounding leaf blade is more or less chlorotic. <i><b>Botrytis cinerea</b></i> (gray mold)
<i> <b> Botrytis cinerea </b> </i> has become established in the stem from a wound or a fully degraded leaf.  It develops there gradually, causing a chancre which surrounds it by several centimeters. (gray mold)
As on all affected organs, <i><b>Botrytis cinerea</b></i> forms a gray to beige mold on this stem canker that characterizes its presence. (grey mold)
<i><b>Botrytis cinerea</b></i> has colonized the sepals of this senescent eggplant flower, it won't be long before it invades the peduncle and perhaps gains the stem. (grey mold)
Flowers, especially senescent petals, are particularly susceptible to <i> <b> Botrytis cinerea </b> </i>.  The latter does not take long to colonize them in humid periods, causing a brownish rot covered with the characteristic <b> grey mold </b>
A large, reddish-brown, soft rot has developed all around the stalk scar of this ripe fruit.  The senescent sepals served as the nutrient base for the fungus.  <i> <b> Botrytis cinerea </b> </i>
A gray mold partially covers in its center this large soft rot on this fruit.  <i> <b> Botrytis cinerea </b> </i>
Soft, orange-brown rot, very quickly covered with a gray mold. <i><b>Botrytis cinerea</b></i> (grey mold)
A fruit already contaminated by <i> <b> Botrytis cinerea </b> </i> allowed the latter to colonize by contact the neighboring fruit.
Au terme de son évolution sur un fruit, <i><b>Botrytis cinerea</b></i> le recouvre presque totalement sous la forme d'une dense moisissure grisâtre. (moisissure grise, grey mold)
A brownish, canker rot has developed on this damaged and already injured fruit.  <i> <b> Botrytis cinerea </b> </i>
A grayish mold grows in the rotten area of ​​this fruit.  The conidia of <i> <b> Botrytis cinerea </b> </i> are clearly visible.
This fruit is completely invaded by a wet and soft rot which probably started at the level of its stalk scar.  Note the presence of gray mold at the level where the film broke longitudinally.  <i> <b> Botrytis cinerea </b> </i>
Several tree conidiophores of <b> <i> Botrytis cinerea </i> </b> carry numerous hyaline conidia easily dispersed by the wind.
Conidia of <i> <b> Botrytis cinerea </b> </i> are formed at the end of sterigmas.  (gray mold)